紧邻市医院高新区院区、市实小高新区分校、市实幼高新区分园……近日,漳州高新区这一拥有优越区位的商品房项目——滨江雅筑开工建设,预计2023年上半年竣工。

滨江雅筑效果图
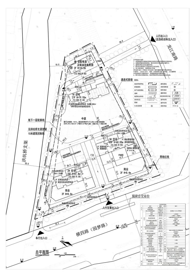
“我们这个项目容积率2.5,将建三幢20至27层住宅楼及商业配套,其中住宅253套,另外,还配套建设停车位258个。”滨江雅筑建设单位项目负责人叶文忠介绍,该项目位于高新区颜厝镇,总建筑面积37000平方米(其中住宅建筑面积24000平方米,商业2700平方米)。

滨江雅筑规划平面图
据了解,滨江雅筑项目是高新区区属国企开发的第一个商品房项目,项目区位优越,距离动车站仅3公里,8分钟车程可到达碧湖万达商圈;基础设施配套也十分优质,周边汇聚了奥体中心、市医院高新区院区、漳州市实验幼儿园高新分园、漳州实验小学高新分校、中铁世博城(规划)等重要城市资源配套。
声明:本网大部分文章转载自第三方媒体,文章头部皆有标注来源出处,如涉及第三方合法权利,请告知本网下架处理。
发布评论:



